Project Overview
Jetty Road, Brighton is scheduled for road surface renewal in 2027-28. Before we carry out this important work, we want to make sure the road continues to function safely and effectively for everyone who uses it.
As part of our planning, Council has completed a Road Safety Audit and identified several ways we could improve safety and usability along the street.
Now we’d like to hear from you.
Your local knowledge and experiences are essential. Tell us what matters to you, and share your thoughts on the options under consideration so we can design a road renewal that best supports our community.
You can provide your feedback by completing an online survey below or by attending one of the community drop-in sessions, which will be held on Wednesday 18 March and Thursday 25 March 2026.
This consultation is open until 5pm Thursday 2 April 2026Jetty Road, Brighton
Click on the coloured dots to learn about what the proposed traffic solutions are
About
Current traffic layout
- 60-degree angle parking outside the Brighton Civic Centre and Brighton Library
- On-street parallel parking
- Adelaide Metro bus route
Issues identified
- Vehicles travelling west are unable to safely navigate into the angle parking outside the Brighton Library and Brighton Civic Centre
- Non-complaint parallel parking dimensions resulting in vehicles overhanging driveways
Proposed solutions
- Change angle parking to 90-degree parking; this change gains an additional 3 parking spaces
- Bring parallel parking spaces to compliant dimensions

Example: Proposed 90-degree parking
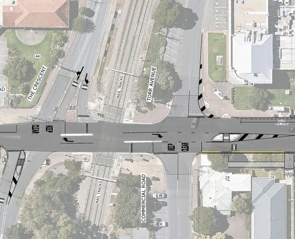
Current traffic layout
- Two busy intersections within 20m of the level crossing
- Pedestrian refuge on Jetty Road east of Torr Avenue and Commercial Road
- Pedestrian refuges on The Crescent
- 50km/h speed limit
- Stop signs
- Adelaide Metro bus route
Issues identified
- Vehicles exiting Torr Avenue have restricted visibility over the level crossing
- Pedestrians crossing Cedar Avenue need to cross two lanes of traffic
- History of 8 reported crashes within the last reporting period (2020-2024)
- The exit lane from Cedar Avenue onto Jetty Road is wide enough for two vehicles, which can reduce sight distance for vehicles approaching from the opposite direction and increase the risk of angled crashes if either vehicle enters the intersection without checking for oncoming traffic
Proposed solutions
- Speed cushions on Jetty Road to help reduce vehicle speeds approaching busy intersections
- Speed cushions on side streets to help reduce vehicle speeds approaching stop signs and pedestrian crossings
- Pedestrian refuge on Cedar Avenue to improve safety and ensure the exit lane onto Jetty Road is wide enough for only one vehicle
- Coloured and stencilled asphalt surfaces to improve drivers’ awareness of intersections
Example: Proposed speed cushion locations
Example: Speed cushion
Current traffic layout
- Parallel parking
- 50km/h speed limit
Issues identified
- Parking spaces do not meet the required dimensions, causing vehicles to overhang driveways and adjacent spaces
Proposed solutions
- Parallel parking built to compliant dimensions to prevent vehicles from overhanging driveways
- Changing to 30-degree angle parking with road narrowing to improve usability and provide traffic calming

Example: Proposed 30-degree angled parking
Current traffic layout
- Informal pedestrian crossing across Jetty Road (ramps only)
- Informal pedestrian crossing across Elm Street (ramps only)
- 40km/h speed limit
Issues identified
- No pedestrian priority crossing
Proposed solutions
- Zebra crossing – white parallel markings, level with the roadway, giving pedestrians priority; or
- Wombat crossing – raised section of roadway with white parallel markings, giving pedestrians priority and slowing traffic
- Coloured and stencilled asphalt surfaces improve drivers’ awareness of intersections

Example: Wombat crossing proposal
Current traffic layout
- Informal crossing across Jetty Road (ramps only)
- Informal crossing across Gurrs Road (ramps only)
- 40km/h speed limit
Issues identified
- No pedestrian priority
Proposed solutions
- Zebra crossing – white parallel markings level with the roadway giving pedestrians priority; or
- Wombat crossing – white parallel markings on a raised section of roadway giving pedestrians priority; or
- Raised intersection providing traffic calming and improving pedestrian safety
- Coloured and stencilled asphalt surfaces improve drivers’ awareness of intersections

Current traffic layout
- Informal crossing across Twining Lane (tactiles only, no pedestrian priority)
- Informal crossing across Jetty Road (ramps only)
- Accessible parking spaces
- 40km/h speed limit
Issues identified
- Reduced visibility for pedestrians crossing Twining Lane due to the surrounding wall and building. Vehicles exiting Twining Lane onto Jetty Road have limited sight of approaching or crossing pedestrians in this busy area.
- Accessible parking spaces are not to current Australian Standards
Proposed solutions
- Continuous footpath across Twining Lane and give way lines for vehicles
- A raised intersection on Jetty Road
- Improved accessible parking spaces
- Coloured and stencilled asphalt surfaces to improve drivers’ awareness of intersections

Current traffic layout
- Roundabout at Jetty Road and Esplanade
- Informal crossings across Esplanade and Jetty Road (ramps with narrow pedestrian refuge)
- Accessible parking spaces
- 40km/h speed limit
Issues identified
- Reduced visibility at the northern crossing due to an outdoor structure
- Reduced visibility at the eastern crossing due to street furniture placed next to the kerb
- Pedestrian refuges are too narrow to safely accommodate multiple pedestrians, particularly vulnerable users
- Accessible parking spaces not compliant with current Australian Standards
Proposed solutions
- Removal of eastern crossing location
- Zebra crossing – white parallel marking on level roadway giving pedestrians priority; or
- Wombat crossing – white parallel marking on a raised section of roadway giving pedestrians priority

- Current dimensions – range from 4.4m to 6.9m
- Australian Standard 2890.5:2020 (AS 2890) dimensions – 5.5m to 6.7m
- There are currently 119 existing car parking spaces on Jetty Road, Brighton
- There are 44 parking spaces non-compliant with current Australian Standards
- To bring marked parking spaces to compliance with Australian Standards, a minimum of 15 parking spaces will need to be removed
- Additional parking may be removed depending on the level of pedestrian crossing improvements and minimum crossing sight distances required
- Overall, 15-22 parking spaces may be removed depending on the treatments selected
- There are an additional 85 indented parking bays and off-street parking adjacent to Jetty Road on Torr Avenue and Commercial Road, which will be unaffected by this project.
- There are existing paved road treatments on Twining Lane, Gurrs Road, and Elm Street.
- These treatments provide traffic safety and calming benefits, including:
- Improved driver awareness
- Enhanced visibility of pedestrian crossing areas
- Encouraging drivers to slow down and remain alert
- One option to enhance awareness and traffic calming is to introduce coloured asphalt stencils at additional intersections along Jetty Road, including Torr Avenue, Commercial Road, The Crescent and Cedar Avenue, near the rail line.

Example of coloured asphalt stencil
We acknowledge the Kaurna people as the Traditional Custodians of the Adelaide region and respect their spiritual relationship and cultural beliefs that remain important to the Kaurna people today.